'S-Bend' roundabout construction to begin May 20
WELLINGTON COUNTY – A project that has been discussed for close to a decade will be completed this year.
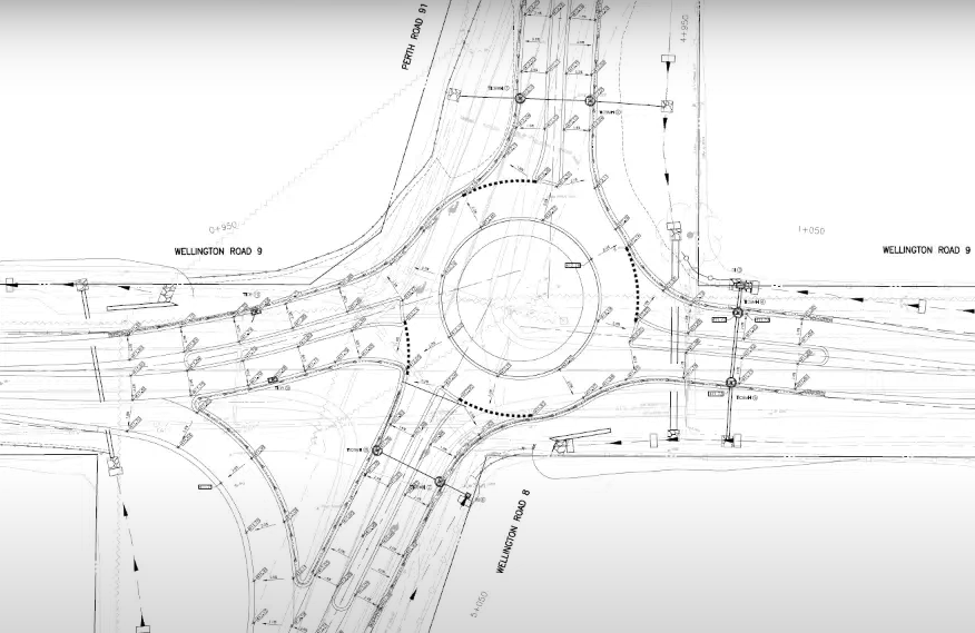
A single-lane roundabout will be constructed at the intersection of Perth Road 140 (Wellington Road 9) and Perth Line 91 (Wellington Road 8) at the Mapleton–North Perth boundary, more commonly known as the "S-Bend."
This is a joint project between Perth and Wellington counties. Both councils awarded the tender to Cox Construction at meetings last month.
The project’s total cost is $3.8 million, with each county paying roughly $1.9 million.
[related]
The selected tender from Cox Construction was favoured as it came in under budget by about $400,000, according to a report to Perth County.
Perth director of public works John McClelland said at the April 17 meeting, “Both Wellington County and Perth County have worked with Cox Construction in the past and successfully completed projects within our road networks.”
“Obviously this intersection does have some history, and we’ve been talking about a roundabout at this location starting about a decade ago, the design for this roundabout has changed since that time, and I’m pleased to let council know that this design is totally within the existing right of way, so we do not require additional lands to complete this project,” he added.
Although a starting date was not included in the Perth County report, it was stated that the project, which includes the realignment of a municipal drain, will be completed by Oct. 17.
Throughout the construction process, one lane of traffic is to be maintained without road closures or detours.

“I just wanted to comment that I’m really glad to see the roundabout moving ahead,” councillor Andy Lennox said at the April 24 county meeting.
“There’s been far too many who have paid the ultimate cost at that intersection, and this will be a solution to help improve the safety there immensely, in my opinion.”
Wellington County staff added that “the S bend has been a trouble spot for a lot of years, with a lot of crashes and a lot of fatalities at that location. Even after we put the lights in, we still have a lot of crashes, and we had to change the lights to a longer delay of red in both directions to try to deter people from running red lights in that area.”
Lennox asked if a new site had been selected for the lights to be moved to.
Staff explained that they are still analyzing a new location for the traffic lights.
A May 14 update from Wellington County stated construction is set to begin on May 20.
"The road will remain open with one lane of traffic available at all times," the update stated.
"Delays are expected and the use of an alternate route is recommended."
