KENILWORTH – Brad Wilson is seeking township and county approval to move forward with a proposed 28-unit stacked townhouse development on 1.38 acres of land in Mount Forest.
Bordered by Wellington Street to the north and King Street to the south, the build would have a greater density than the county’s official plan currently permits.
Dana Kieffer, who spoke on behalf of Wilson, told council at an Oct. 10 public meeting there’s a density of 49 units per 2.5 acres being proposed, compared to the 35 currently permitted for the type of build.
“Because they are split-level, they do achieve more units in a smaller footprint which is driving that density up,” Kieffer said of the stacked townhouse format.
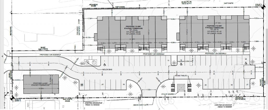
Plans show the development would consist of three individual groupings of townhouses; two stacks would have 12 units each, with the remaining stack having four units. There would be 44 parking spaces and a resident amenity area.

A Cobide Engineering rendering included in a Wellington North public meeting agenda package illustrates the design of townhouses proposed for a new development on 1.38 acres of land fronting Wellington Street East in Mount Forest. Below is Dec. 2022 site plan, also included in the public meeting agenda.

In addition to the greater density, Wilson is also seeking to rezone the land to build smaller yards and lots sizes than the township’s bylaw requires.
“The density in this area continues to increase dramatically,” councillor Sherry Burke remarked at the meeting.
“I’m just wondering if there’s any possibility that the density could be reduced on this?” Burke asked Kieffer, adding she would be hard-pressed to support reduced lot sizes.
“I … also have a problem with the amount of density that’s coming into the area,” councillor Penny Renken said.
“I believe that every unit is entitled to the space that the zoning bylaw affords them.”
Renken added that fewer units would allow the developer to adhere to the township’s bylaw.
Kieffer said the property — currently occupied by a single detached home that would be demolished — can support the density being asked, and no consideration has been given to reducing the number of units.

Wellington North public meeting agenda package image
“It is my understanding that the county is going to be updating their official plan to recognize this housing style a little more clearly, which would actually include a [greater] permitted density,” Kieffer said.
The county is currently looking at amending wording in its official plan, which could broaden what housing types can be included in high density limits.
Apartments, for example, can have up to 75 units per 2.5 acres.
“We’re kind of falling in the middle of that right now,” Kieffer said.
Burke said council continues to be asked to skirt the rules, and the issue needs to be discussed.
“We will need to address [that] at some point as we continue to increase the density in neighbourhoods to the rate that we are,” Burke said.
Wilson stood to say densification results in affordability.
“I don’t really know any other solutions to it,” he said.
No residents spoke for or against the proposed development at the public meeting.
Then-county planner Matthieu Daoust, presenting the application to council on behalf of the township, said council’s comments would be considered at the county level.
The county’s planning committee and council will address the official plan amendment dealing with the requested increase in density before Wellington North council considers reducing lot sizes for the proposed development.
