Land rezoned for townhouse development in Mount Forest despite residents' opposition
KENILWORTH – Following three delegations and much discussion, Wellington North council has approved the rezoning of land in Mount Forest, allowing a proposed 18-unit cluster townhouse project to proceed.
“We spoke to homeowners and renters whose lives would be impacted by a big development,” said Rachel Kéry during a Feb. 6 delegation to council opposing the rezoning.
“We showed people the plan and heard many reactions that bolstered our belief that we were not alone in our concern.”
Kéry presented to council a “say ‘no’ to rezoning our neighbourhood” petition with 56 signatures.
King Street East residents accounted for 36 of the signatures, and another 19 were from Wellington Street residents, whose yards back onto the proposed development.
[related]
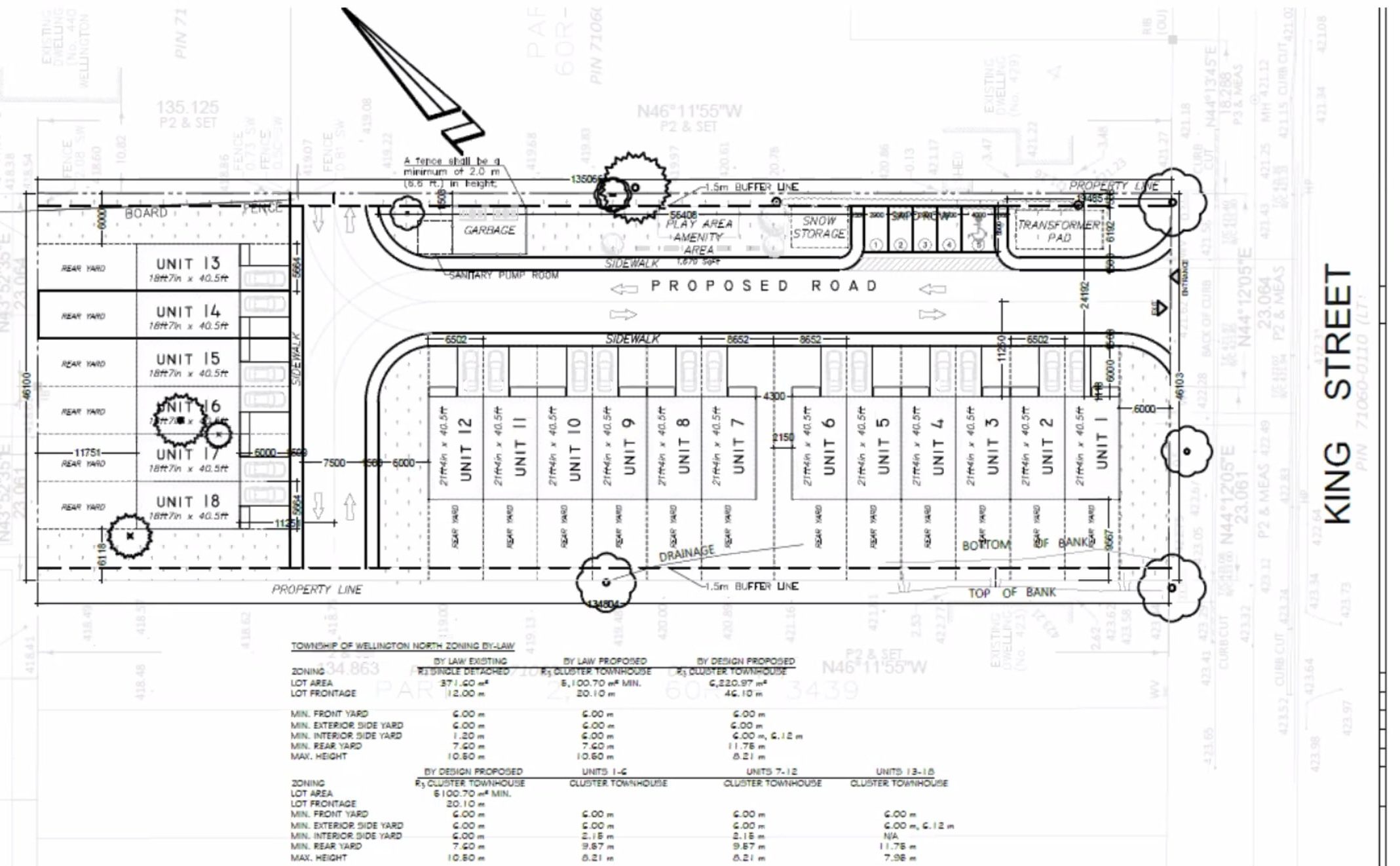
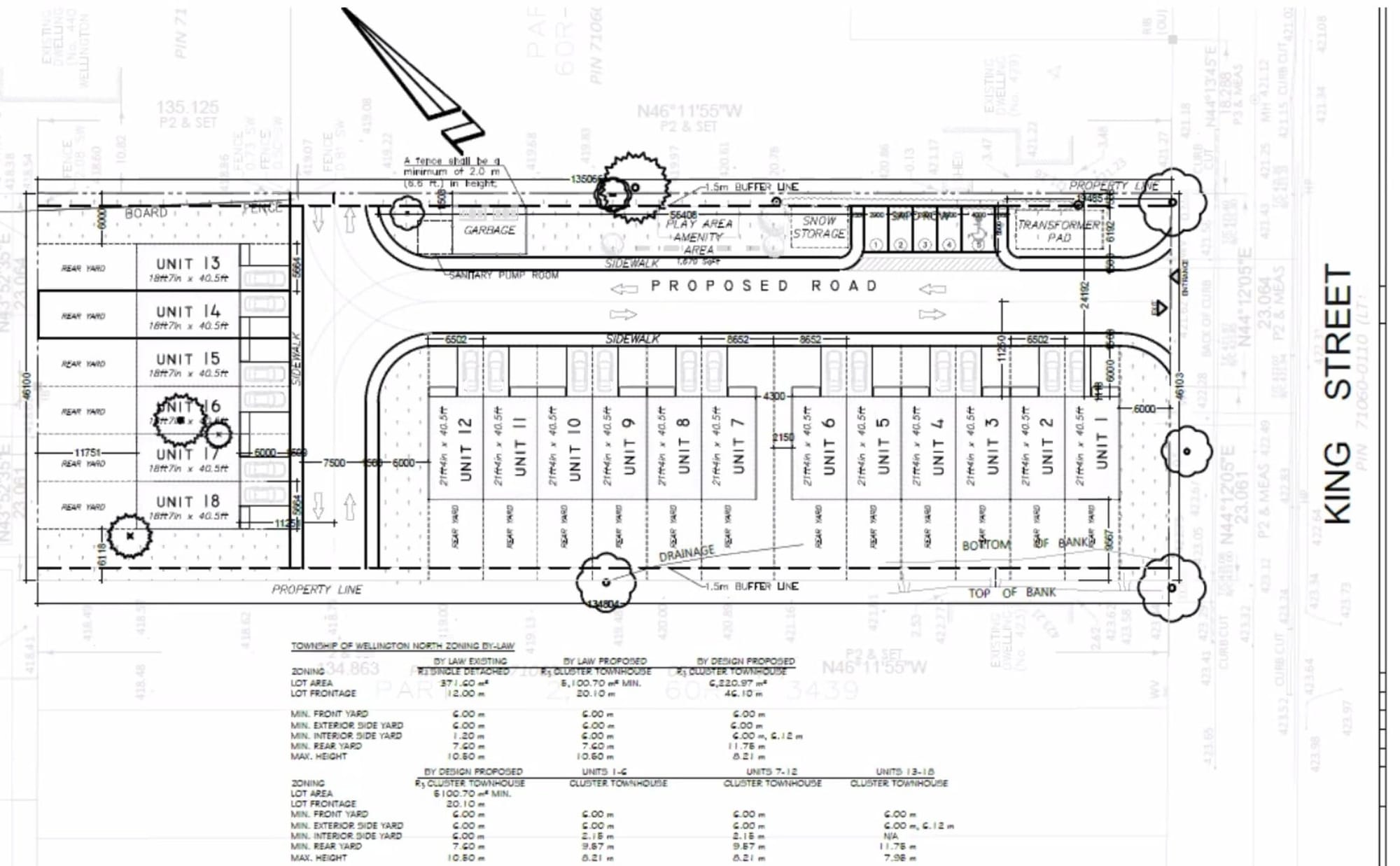
The development, proposed by McTrach Capital and 427 Management Service Inc. on an acre-and-a-half at 425 and 427 King Street East, is narrowly situated between two detached residences.
The vacant grassland there is currently zoned “R2,” which could accommodate four-unit street townhouses or a four-plex, but needs to be rezoned to “R3” to permit higher-density housing.
Kéry previously spoke during a Dec. 19 public meeting, voicing concerns about the “tone of the community,” among other issues such as greenspace, light and sound pollution, potential trespassing, and garbage collection.
Other nearby residents echoed Kéry’s concerns, expressing similar sentiments about density and neighbourhood character, both during the meeting and in writing to the township.
'I felt that my voice wasn’t enough'
“After that Dec. 19 meeting, I realized that I had to do more. I felt I’d been caught wrong-footed, and although I had my say, I felt that my voice wasn’t enough,” Kéry said in a last-ditch effort to sway council from voting to rezone the land.
She implored councillors to listen to the voices of constituents, “not the developers, not the money-makers, not the higher-ups.”
“We are saying that in an established, peacefully balanced R2 neighbourhood, changing the zoning in the last two lots to R3 is unreasonable and unconscionable,” she asserted.
Reid Rayfield, a resident two doors over from the lots, criticized the density and the water/snow management plan, and said there wasn’t enough greenspace.
“Eighteen units in that little spot is just unheard of, especially for our little street,” Rayfield said.

Farhan Mahood, one of the developers who will be relocating his family from Guelph to live in one of the units, also delegated to council in an attempt to address concerns voiced last year.
Mahood talked of a traffic study, private garbage collection, adequate parking, a 2,500-square-foot greenspace, a completed storm water management plan (underground water tanks), and private snow removal and storage, in an attempt to quell concerns.
He also reiterated previous talking points related to housing supply, and disagreed with residents who claimed the neighbourhood is made up predominantly of detached homes, pointing out the variety of zoning of adjacent properties.
“Building 18 townhouses is a perfect balance between greenspace as well as the density … and it is the need of our time as younger families are struggling every single day to buy a home,” Mahood said, noting the original proposal was for 30 townhouses on the property.
“We just want to be able to have the ability to create housing for young and first-time home buyers,” he said, introducing those seated in council chambers who are part of the project.
“There is no big corporation, there is no giant who is trying to make the maximum profitability.”

Following 23 minutes of delegations, councillor Penny Renken suggested a compromise with fewer units.
“There are no other 18-unit cluster houses, two-storeys high in that neighbourhood,” she said.
Mahood was unwilling to consider a unit reduction given the time and money spent to arrive at the current proposal.
‘I don’t see another alternative’
Mayor Andy Lennox ran down a list of concerns voiced between December and Monday’s delegations, responding to each.
“No one that I know who has ever lived near an open space property would say that they wanted it to be developed,” Lennox said.
“These lots have been surrounded with development for many years and to expect that they would remain undeveloped is not realistic.”
The previous R2 zoning would have allowed for 11 to 16 dwellings per acre, depending on greenspace, according to provincial planning policy. Two-storey homes are also permitted in any residentially-zoned neighbourhood in Wellington North.
Lennox alluded to a comment made by a nearby resident during the December meeting suggesting people living in townhomes are, in Lennox’s more polite words, “less desirable.”
“Quite frankly, I find that suggestion offensive,” the mayor said, adding he would fall into the “undesirable category,” having previously lived in higher-density housing.
The mayor also said it’s unlikely the lots would have been developed into single detached homes given their size, land value, and the cost of owning a home.

Based on 2021 Census data suggesting the median household income (removing high and low extremes) in Wellington North for 2020 was $69,500 after taxes, Lennox suggested it would take “triple the Wellington North [median] household income” to pay for a home.
“If there was a way to meet the needs of the neighbourhood and give the neighbours what they’re asking for please tell me how, because I hate having to go against the wishes of residents,” Lennox remarked.
“I don’t see another alternative than to support applications like this.”
Councillors Burke, Renken oppose rezoning
Ward 2 councillor Sherry Burke said she would vote against rezoning, in support of her constituents.
Additional intensification in an already dense area, Burke said, “neither respects the neighbourhood or the small-town character which we constantly around this council table discuss.”
Renken also said she would vote against rezoning despite believing in a need for more housing options.
“I just feel that the building would be better off in another location and to maintain the integrity of that neighbourhood,” she said, suggesting fewer units would be more palatable to residents.
Most units already claimed
Councillor Steve McCabe imagined a costly appeal for taxpayers to the Ontario Land Tribunal should council vote against a proposal meeting the county’s approval and provincial policy.
He also suggested the area required to house 18 families in detached homes would likely infringe on prime agricultural land.
“I have a real hard time not supporting this,” McCabe said.
Councillor Lisa Hern echoed McCabe’s concern about urban sprawl but focused her input on a need for more housing for health care workers — though it’s not known if any health care workers would live there.
Mahood and others involved in the development have previously made clear they intend to relocate their families from Guelph to at least some of the units.
During his Monday delegation, Mahood also said, “A lot of our friends who went to University of Guelph, they are moving up their families into this complex.”
In a Feb. 7 phone call with the Advertiser, Mahood said 11 of the homes would be occupied by friends and family.
Three homes are likely to be sold to local residents, Mahood said, and the remaining four could be put up for sale in the $450,000 to $500,000 range. But Mahood said his estimate could change “dramatically.”
He blamed residents’ concerns for already driving up home costs and requiring a wildlife study Mahood says will cost $20,000.
“Due to the concerns of the neighbours we had to conduct all the studies up front which ... not only increases our capital costs significantly, it also increased the project cost significantly,” he said, later conceding some studies would be required regardless to receive site plan approval.
Mahood said he understands residents are trying to protect their neighbourhood.
“It just comes at the cost of someone else, and a lot of cost,” he remarked.
Asked by Lennox to provide additional context from a staff perspective, CAO Brooke Lambert said “a very careful review” of the application had been done aligning with the township’s 2018 growth plan.
“This is a compromise that takes into account the comments both from residents but also the advice that was provided by township planning staff,” she said.
“Development of increasing intensity is likely to be the norm.”