Erin business to permanently operate on agricultural land following council vote
ERIN – Resident and business owner Keith Barrick can see a little farther into the future after council voted to permanently allow Keith’s Trailer Sales to continue operating on agricultural land.
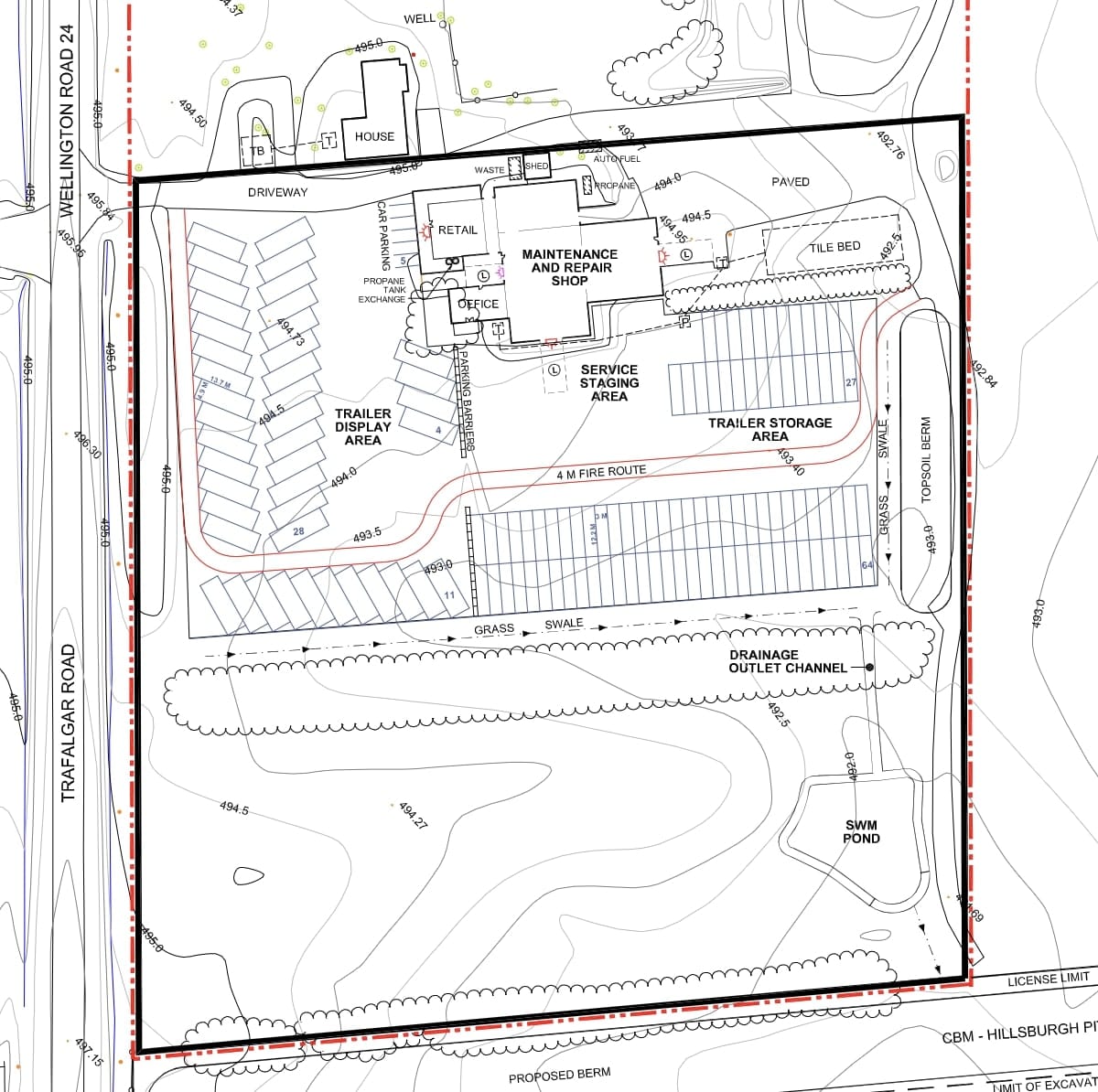
Barrick is the owner of Keith’s Trailer Sales Inc., which has been operating at its Trafalgar Road location since he and his family moved to town from Orillia in 2016.
The family lives adjacent to the business, and the Barricks purchased the property in 2020.
For the past seven years, Keith’s Trailer Sales has operated on borrowed time with council temporarily allowing the business to remain on what’s considered prime agricultural land, contrary to local and provincial land-use policy.
The land was previously farmed before becoming the site of a market and bakery store.
“For almost 30 years, this area has been a commercial agricultural operation,” states a Jan. 2023 planning report authored by Robert Long of Long Environmental Consultants.
When it comes to agricultural lands, especially those considered “prime,” land-use policy aims to protect it for agricultural use.
However, policy is open to interpretation and caveats abound.
Keith’s Trailer Sales was twice granted exceptions to keep using the land despite the prime agricultural zoning, for three-years at a time, beginning in 2020.
The most recent exception, known as a zoning bylaw amendment, was granted in 2022, carrying the Barricks from 2023 to 2026.

But six years of running a business based on precarious land arrangements was enough, and Barrick, following up on advice given to him during a previous council term, implored council this year to make the exception permanent.
“I stand before you, a husband, a father of three,” Barrick told councillors as he became emotional at a March 9 public meeting.
Steeling himself, he added, “And a small business owner who proudly calls Erin his home.”
His voice breaking again, Barrick told councillors that calling Erin home for the family and business “is our dream.”
Barrick hired Long Environmental Consultants, which made the case that trailer sales and service could be allowed on prime agricultural land thanks to provisions in the town and Wellington County official plans.
Town planning and development director Jack Krubnik, evaluating the argument against the official plans and provincial policy, disagreed with the consultant's interpretation.
On April 13 he recommended council deny the permanent zoning amendment requested by Keith.
Krubnik also noted the temporary land-use exception was initially granted in 2020 based on the belief that it would bide Barrick time to search for a “similar, non-agricultural property on a major road” within Erin.

Councillors said they were torn between siding with the rules and supporting a successful, local business by not booting it from the property.
Councillor John Brennan said planners have to play by the rules, but council has leeway to do things differently.
At the time, councillor Jamie Cheyne said, “My sympathy hat reaches out to you.”
“I think, unfortunately, the legal aspect of this is weighing heavier than my [sympathy]."
The balance would shift on May 11, when Cheyne, along with other councillors, voted 3-1 against Krubnik’s recommendation and in favour of allowing the Barrick to use the land in accordance with specific conditions.
Councillor Bridget Ryan, the sole dissenting vote, was steadfast in her opposition to allowing the continued use.
Directly addressing Barrick at a previous meeting, Ryan said her decision wasn’t personal.
“I was voted in to support agri-tourism and I strongly support holding onto our prime agricultural lands,” she told him.
“I really appreciate the position you’re in.”
At the May 11 meeting, Ryan reiterated her concerns.
“It is an agricultural property, and I am very concerned that we’re setting a precedent where we now open ourselves to other creep onto zoning that doesn't exist through our overall masterplan,” she said.
Councillors Cheyne, Brennan and Cathy Aylard spoke of a need to bolster the local economy and support businesses.
“The economic problems are there due to the fact that we don’t have commercial or industrial zoning anywhere in Erin at the moment,” Cheyne said.
Staff have been directed by council to return with a bylaw to make the amendment official, allowing Keith’s Trailer Sales to permanently use the land for trailer sales and service, propane exchange, and for a portion of the land to be used for a storm water retention pond.