Skip to main content

Township to abandon portion of Acke Drain on Wellington Road 9

Robin George profile image
by Robin George
Township to abandon portion of Acke Drain on Wellington Road 9
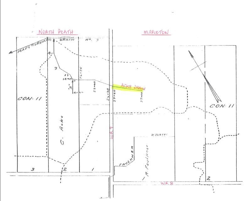
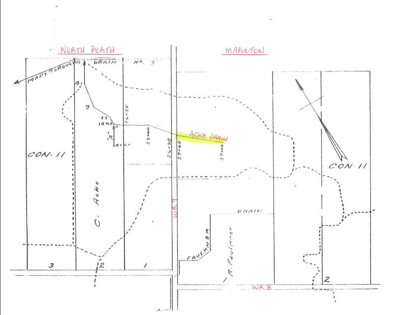
Mapleton council agreed to abandon the portion of the Ackke drain that runs through 7291 Wellington Road 9, at the property owner’s request. Image from Mapleton agenda

MAPLETON – At a landowners’ request, the township is abandoning a portion of the Acke Drain on Wellington Road 9.

The drain was constructed in 1964 by Maryborough Township.

It originates on 7291 Wellington Road 9 and flows west across the road into the Municipality of North Perth.

According to a report presented to council on June 10, “the request to abandon a portion of the Acke Drain that runs through 7291 Wellington Road 9 … was received May 26.”

Attached to the report is a letter from property owners Timothy and Matthew Ditner with the above information and a request for abandonment.

The letter is dated Nov. 20, but has a stamp stating it was received by Mapleton on May 26.

A motion to abandon the portion of the drain passed on June 10.

Engineer Sid Vander Veen, municipal drains lead at R. J. Burnside and Associates, reviewed the request, the report states.

“He advises that upon approval from council the township may proceed with notification to all owners affected by the abandonment of this portion.

“If no notice is received from the owners, then after 10 days, council can pass a bylaw to abandon the portion of the drain. Thereafter, the Township of Mapleton has no further obligations with respect to that portion of the drainage works,” the report states.

Fees for R.J. Burnsides’ consulting will come from the 2025 municipal drains operating budget.

Robin George profile image
by Robin George

Get Local News Delivered

Join our community of readers and get weekly updates on what matters most in Wellington County.

Success! Now Check Your Email

To complete Subscribe, click the confirmation link in your inbox. If it doesn’t arrive within 3 minutes, check your spam folder.

Ok, Thanks

Read More