Skip to main content
Township supports plan for Arthur subdivision
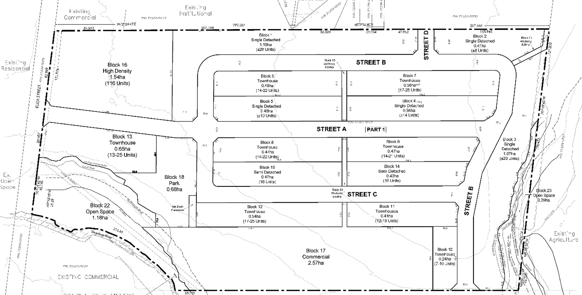
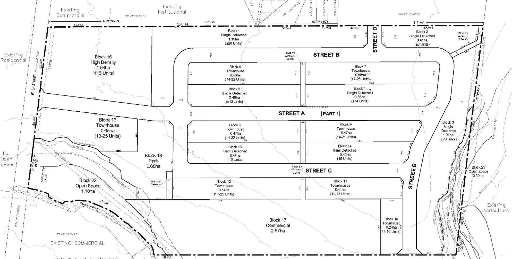
Wellington North voted unanimously in support of a draft plan of subdivision from Sarah Properties Limited for a subdivision with about 400 homes in Arthur’s south end. Council agenda image

Township supports plan for Arthur subdivision

Wastewater capacity for 400-unit development should not be a concern: mayor

Robin George profile image
by Robin George

WELLINGTON NORTH –  Council here supports a draft plan for a proposed 400-unit subdivision in Arthur’s south end. 

Sarah Properties is set to build 86 detached homes, 32 semi-detached homes, 108 to 169 townhomes, a four-storey building with 116 apartments and a plaza for commercial businesses. 

Wellington North council voted to support the draft plan of the subdivision on March 23. 

The subdivision will be located at 211 Eliza St. and 8014 Wellington Road 109 and the plan includes three new public streets, walkways, a park and open space.  

Township staff say the plan conforms with provincial policy and legislation, the county’s official plan and Wellington North’s growth management action plan.

Councillor Steve McCabe asked if Arthur’s wastewater treatment plant has enough capacity to accommodate the subdivision. 

Township planning manager Curtis Marshall said it looks like there will be adequate capacity, noting the developer has applied for sewage allocation, which is pending development approval, and conditions of the draft plan state there must   be adequate water and wastewater capacity. 

Mayor Andy Lennox said water and wastewater capacity was included as a holding provision for the subdivision due to limited capacity, but thanks to $14-million in provincial funding to upgrade the Arthur treatment plant, announced March 18, capacity should not be a concern. 

Council was split 3-2 earlier this month on a vote to approve bylaw amendments for the subdivision, but was unanimous in its support of the proposed plan of subdivision. 

Robin George profile image
by Robin George

Get Local News Delivered

Join our community of readers and get weekly updates on what matters most in Wellington County.

Success! Now Check Your Email

To complete Subscribe, click the confirmation link in your inbox. If it doesn’t arrive within 3 minutes, check your spam folder.

Ok, Thanks

Read More