Skip to main content

Guelph/Eramosa council approves draft plan for Ariss subdivision

Ellouise Thompson profile image
by Ellouise Thompson
Guelph/Eramosa council approves draft plan for Ariss subdivision
Guelph/Eramosa council has approved a draft plan for a proposed Ariss subdivision. Council agenda image

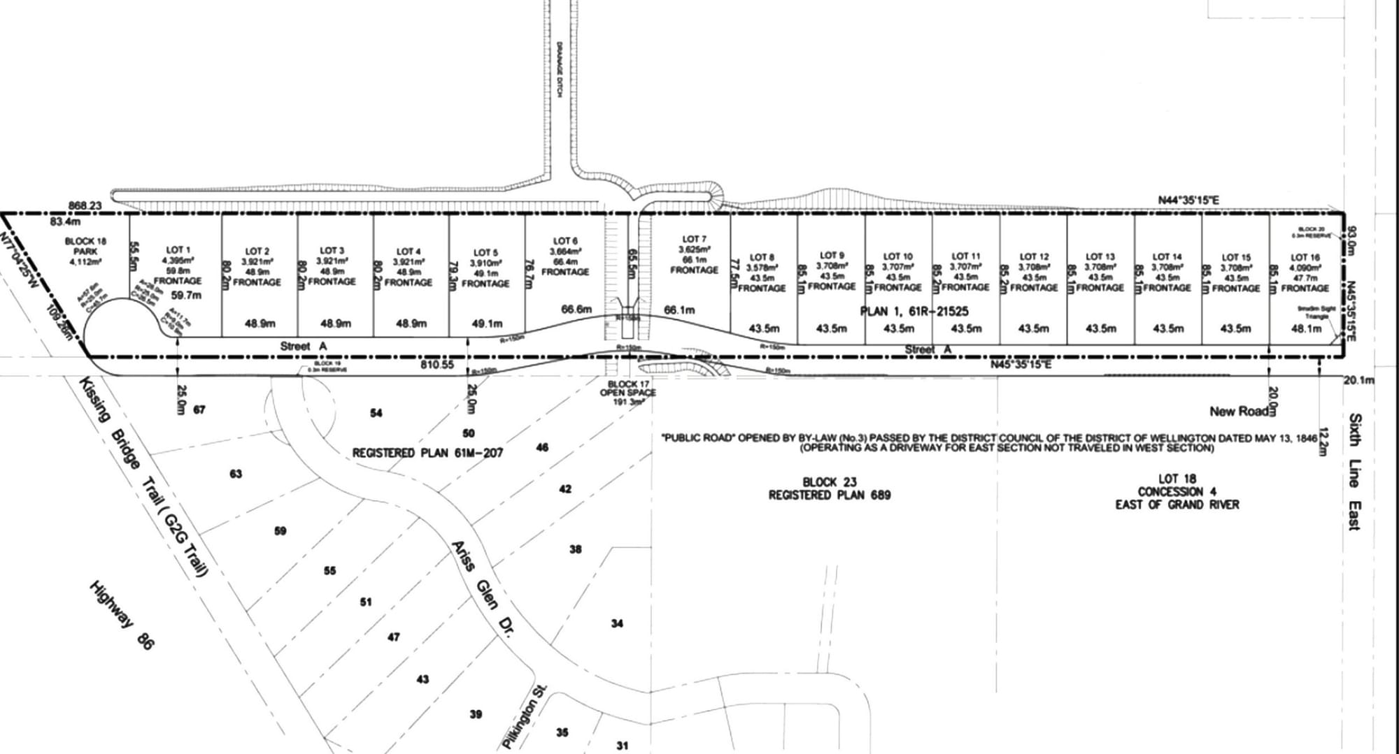
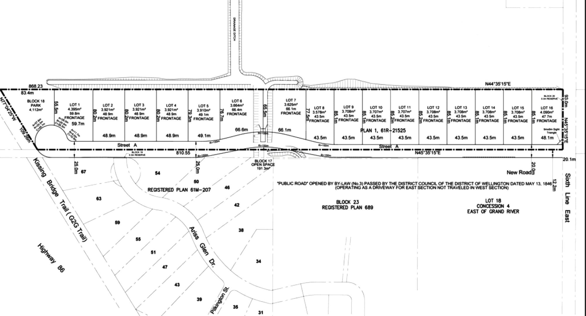
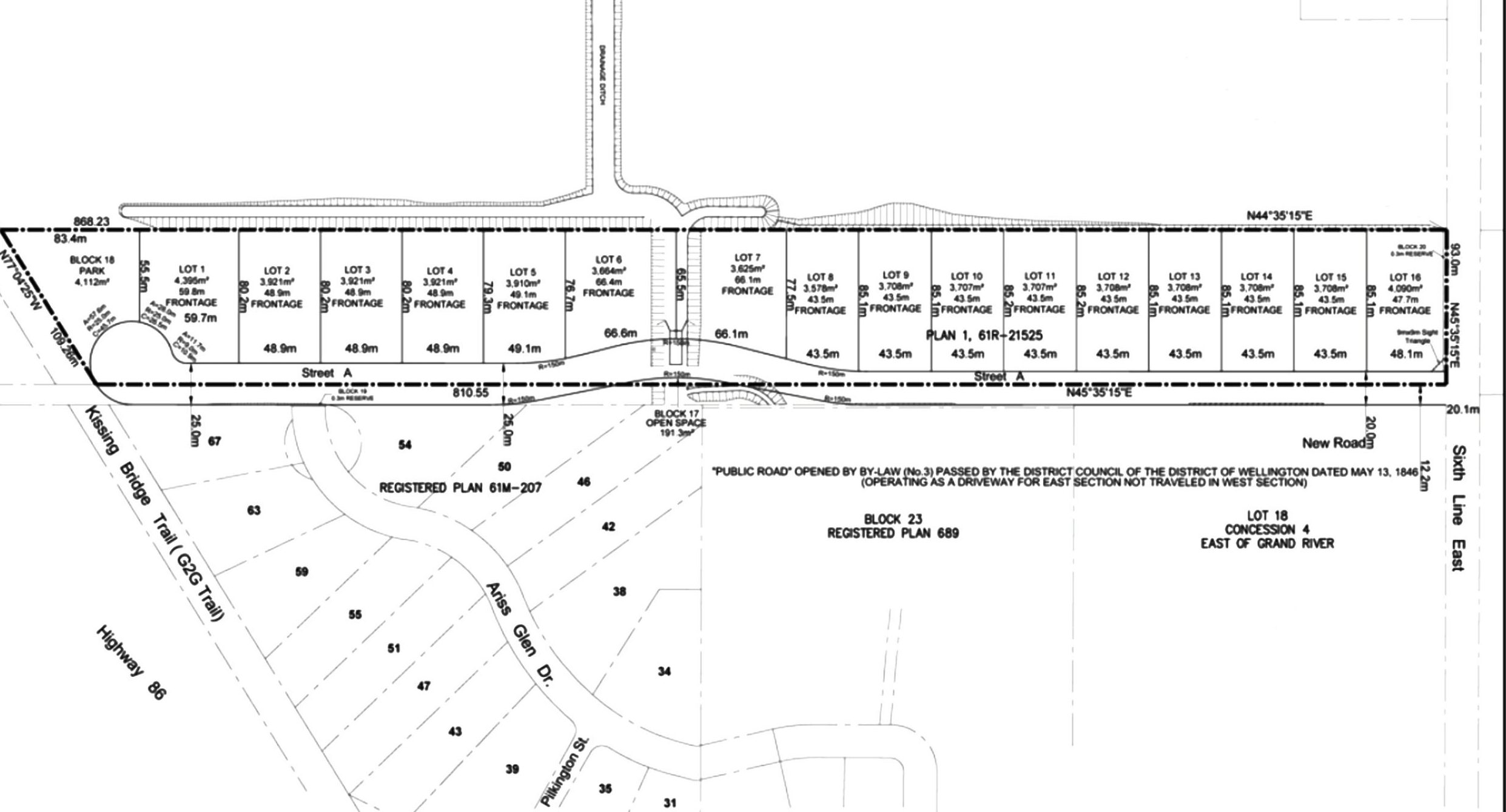
BRUCEDALE  – Guelph/Eramosa council has voted to approve a draft plan for a future Ariss subdivision, following a lengthy discussion and varying opinions.

The proposed development will feature 16 single-detached residential lots in the hamlet of Ariss.

The lots would be  accessed by a future road with a cul-de-sac owned by the township. Each lot will be serviced by individual wells and septic systems.

The proposal also includes a park and open space area.

The road is proposed to be designed to accommodate the Kurtz municipal drain and culminates with a cul-de-sac in front of the proposed park.

Councillor Corey Woods raised issue with the size of lots two to 15, as they do not comply with the minimum lot area of one acre, as outlined in the municipality’s bylaw.

Meagan Ferris, manager of planning and development for the county, assured Woods the variance in lot size was minuscule, and that all of the undersized lots are closer to one acre than half an acre.

Though he did not seem as concerned as Woods about the undersized lots, Mayor Chris White asked what would happen if a future council took a look at the draft plan at its next steps and decided they had an issue with the lots.

After much back and forth, Ferris assured council that the “council of the day” could make changes further down the road.

Council voted to support the draft plan.

Ellouise Thompson profile image
by Ellouise Thompson

Get Local News Delivered

Join our community of readers and get weekly updates on what matters most in Wellington County.

Success! Now Check Your Email

To complete Subscribe, click the confirmation link in your inbox. If it doesn’t arrive within 3 minutes, check your spam folder.

Ok, Thanks

Read More