Councillors push back on Arthur subdivision changes
WELLINGTON NORTH – A future subdivision in Arthur’s south end may not end up looking how developers had hoped.
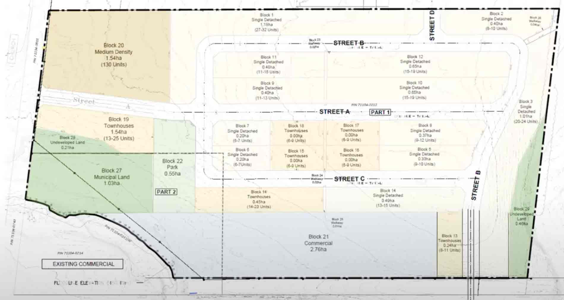
A public meeting was held about the proposed Sarah Properties Ltd. development on July 28, during which a draft plan was presented and a host of bylaw amendments proposed.
The proposal included up to 354 units, including two apartment buildings (up to six storeys), 155 detached homes and up to 69 townhouses as well as a commercial area on an 18 hectare (46 acre) lot at Wellington Road 109 and Eliza Street.
To accommodate the density, developers requested 19 bylaw amendments, including smaller front, side and rear yards for the detached houses, townhouses and apartment buildings, an increased number of townhouses in a row, increased apartment building height and decreased number of parking spaces for the apartment buildings.
Mayor Andy Lennox said it “almost feels” as though the developers included as many variances as possible to see what they could get away with.
“We have a zoning bylaw that has provisions in it that we believe are appropriate for our community, and the degree of variances to me are quite puzzling.”
Councillor Penny Renken said, “I think it’s just too much for that area.”
She called the variances “too drastic” and said she’d “like to stick to the bylaw that we have in place now.”
Councillor Steve McCabe said he is “also concerned that every variable is being changed.”
“My number one concern is the reduction on almost every variation,” said councillor Sherry Burke.
“If you have to request a reduction for everything that’s permitted I don’t think that you’re taking our policies seriously.”
Arthur resident Lauren Campbell also expressed her concerns during the meeting.
She said the proposed subdivision is “essentially” in her backyard.
“I certainly understand the need to allow for growth, but we also have a responsibility to protect the character and livability of our community,” Campbell said.
“In my opinion approving smaller lot sizes may benefit the developer ... but it does so at the expense of the long-term residents and the future home owners.”
She compared it to adding more seats to an airplane: “It might increase the profit but it doesn’t necessarily improve the experience of those who are on board.”
The developer’s planning consultant, Brandon Flewwelling, attended the meeting and presented the draft plan for the subdivision and responded to some questions and concerns.
Double the storeys
The proposal includes doubling the township’s maximum permitted apartment building height from 12 metres (three stories) to 24 metres (six storeys).
Renken noted the developer said they intended to maintain “the township’s small-town charm.
“I don’t think six storeys could be considered small-town charm,” she said.

Renken is also concerned about Wellington North firefighters not having the needed equipment to respond to fires in a building that height.
She said she’d like to see the developers scale back to three storeys instead of six.
“This is rural Ontario,” said councillor Sherry Burke. “We want to try to keep true to our communities.”
She said while at some point six-storey apartment buildings “may have to happen,” she hopes that won’t be any time soon.
“Not just because I don’t like the fact that it’s going to change the characteristics of Arthur but I’m also concerned about fire service protection ... We don’t have the equipment to accommodate that.”
Deputy fire chief Callise Loos said there isn’t an aerial fire truck in Wellington North to respond to an upper floor fire of a six-storey apartment building, but township firefighters do have access to Minto’s aerial truck.
Councillor Lisa Hern said she’s “largely supportive of apartment buildings,” but she’s concerned “this is an awful lot for a volunteer fire service to handle.”
Parking
The developer proposed including 1.25 parking spaces for each unit as opposed to the minimum 1.5 spaces per unit outlined in the township’s bylaw.
The proposed apartment buildings have a total of up to 130 single- and two-bedroom units.
If each of those units has two cars, that’d be 260 vehicles with 162.5 parking spaces, Renken noted.
“Where would you park the other vehicles?”
They couldn’t just park on the street all winter with the township’s snow removal bylaw, Renken said.
Renken said she was opposed to the parking reduction.
Lennox noted that without a public transit system, most people in Arthur depend on cars to get around, which creates a challenge with reduced parking.
Flewwelling said the developer’s proposal was based on “what we’ve seen in other communities and what a lot of builders are asking for.
“But certainly I’ve heard the comments loud and clear and that’s the beauty of a public meeting is to hear these comments and then go back and reassess.”
Smaller lots
Lennox noted last winter snow storage was an issue on many lots with six metre front yards, so the developer’s request to reduce that frontage down to 4.5 metres was “a hard no” from him.
Burke said: “We had a lengthy conversation at the last council meeting about front yard minimums, so I’d like to stick with what is permitted.”
Sewage allocations
McCabe expressed concerns about waste water allocations, as there is limited treatment capacity in Arthur.
Chief building official Darren Jones said, “There’s been no allocation for this property but that a future allotment to accommodate the property has been strongly considered.”
Stormwater management
The Grand River Conservation Authority reviewed the application and expressed the following comments and concerns:
- wetland on site needs further evaluation;
- low impact development features on site need to be implemented; and
- proposed stormwater management design needs to be revised.
Triton Engineering and Wellington County’s roads department also expressed concerns about the storm water management design.
Triton Engineering noted the number of entrances and a connection of a commercial block to the subdivision requires further discussion.
Traffic
Campbell said traffic was a major concern for her, with the intersection of Wellington Road 109 and Highway 6 already busy.
“I think if we approve this type of density that’s being proposed without addressing that then we’re going to have more safety concerns.”
Hern agreed, saying “It just seems like a logistical nightmare.
“On (Highway) 109 coming back from Orangeville on a Friday you can already sit at that light for ... 20 minutes sometimes.”
The county roads department requires that left turn lights be installed at the intersection, and that Wellington Road 109 be upgraded to an urban cross section standard along the development frontage (north side of road only).
Affordability
Lennox said if increased density in the subdivision were to be improved, it’s important that the units are attainable for local community members.
He expressed a need to “get the price point down so that people in modest or middle incomes can afford to get into the housing market.
“We need to have housing that people who work in our communities can live in.”
Township staff and developers are set to consider how the comments can be implemented, make changes to the proposal and return to council with a recommendation.
To be notified about when council will consider the recommendations, contact the township at township@wellington-north.com.