Skip to main content

Council approves manure pit closer to neighbours than usually allowed

Robin George profile image
by Robin George
Council approves manure pit closer to neighbours than usually allowed
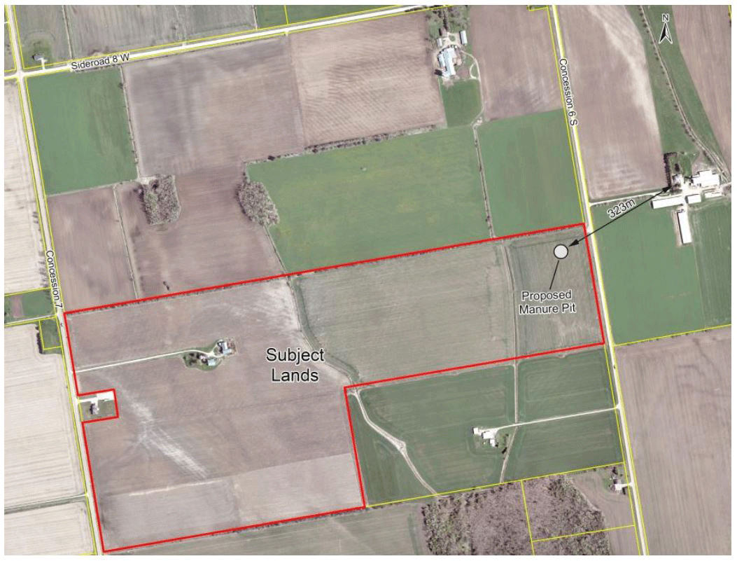
Manure pit – Wellington North council approved the construction of a 4,000m3 covered manure pit closer to a neighbouring farmhouse than is usually permitted. Wellington North agenda image

WELLINGTON NORTH – Farmers in Wellington North are set to build a covered manure pit a little closer to the nearest neighbour than is usually allowed. 

Minimum distance separation (MDS) setback requires 389 metres or 1,276 feet from the closest neighbouring home, whereas the owners are proposing a setback of 323 metres, or 1,060 feet. 

The proposed manure pit would store manure from a nearby dairy farm. 

Wellington North council approved the application during a March 23 meeting.

Brianna Miller from Van Harten Surveying represented the property owner, Falkena Farms, during the meeting. 

Miller said the neighbouring home closest to the proposed manure pit is part of a large farming operation, and the owners there are fine with the manure pit’s location.    

The 60-hectare (150-acre) subject property is located at 8773 Concession 7, about 10km northwest of Arthur, and includes a house, garage/shop, barn and grain bin. 

It includes prime agricultural land and core greenlands/natural environment, including a floodplain and slope valley regulated by the Grand River Conservation Authority (GRCA). 

Officials from the GRCA and township say the manure pit and necessary driveway extension fall outside of the areas regulated by the authority. 

Wellington North planners have no concerns with the application, and say it maintains the general intent and purpose of the county’s official plan and the township’s zoning bylaw and is minor, desirable and appropriate.  

The owners say the manure pit’s proposed location provides operational efficiency, minimizes the loss of agricultural land and utilizes both the existing field entrance and creek crossing on the farm.

Councillor Penny Renken asked if there’s an alternate location that would not need “quite as large a reduction in MDS.”

Sytse Falkena, one of the property owners, said they initially considered putting the manure pit on the other side of the property, but it would still need relief from the minimum distance separation requirements, with multiple houses too close to the pit. 

There’s a spot on the other side of the creek, he said, but if the manure pit were there “it would be taking up a lot more agricultural land” and would be closer to the GRCA regulated lands. 

“And where it is would just be a lot more efficient for transport trucks to fill it and go back out,” Falkena added. “Where it is located is by far the most efficient spot.” 

Councillor Lisa Hern said the location is “a little awkward, but I think it’s the best spot to put it.It has the least impact, the least opportunity for conflict. I think it’s probably the best scenario.” 

As a side note, she said many farmers build manure pits that are too small, and encouraged the Falkena’s to “go big or go home.” 

Falkena said the proposed size for the pit, which has an area of 4,151m3 is ideal for the amount of land the manure will be spread on: “applying more than that at one time isn’t really beneficial or environmentally friendly.” 

Mayor Andy Lennox commended the Falkenas for including a cover on the pit: “I know they don’t come for nothing, and they certainly help to contain the odors,” he said. “Thank you for doing that.” 

Robin George profile image
by Robin George

Get Local News Delivered

Join our community of readers and get weekly updates on what matters most in Wellington County.

Success! Now Check Your Email

To complete Subscribe, click the confirmation link in your inbox. If it doesn’t arrive within 3 minutes, check your spam folder.

Ok, Thanks

Read More