Skip to main content

Agreement signed for 197-unit subdivision in Arthur

Jordan Snobelen profile image
by Jordan Snobelen
Agreement signed for 197-unit subdivision in Arthur
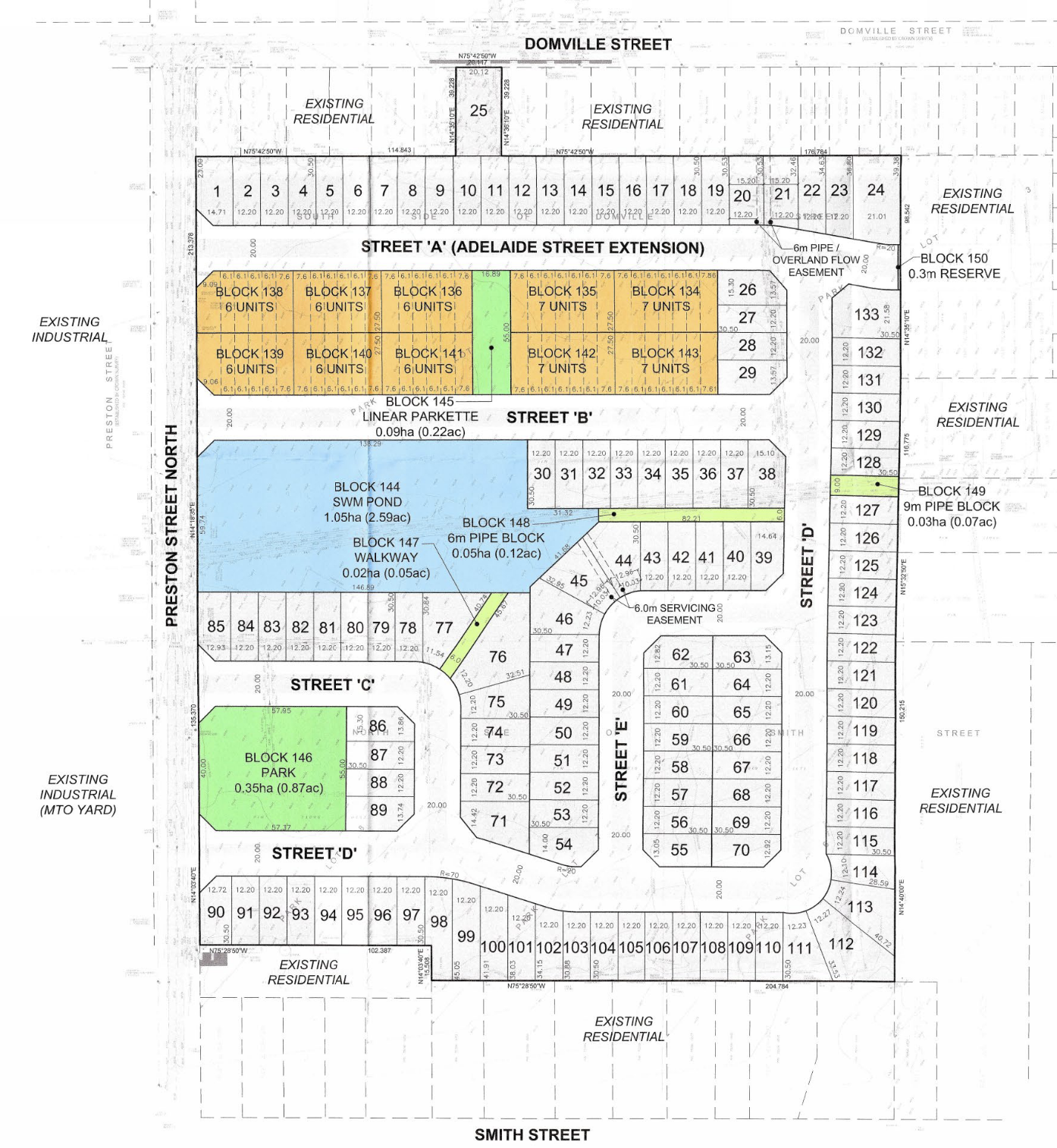
Vaughan-based Cachet Developments Inc. is developing just under 28 acres of land located in the northeast quadrant of Arthur, bordered by Domville Street to the north and Preston Street to the east. (Wellington North council agenda image)

WELLINGTON NORTH – A future residential subdivision in Arthur is advancing to the next stage following sewage unit allocations in April.

Vaughan-based Cachet Developments Inc. is developing just under 28 acres of land located in the northeast quadrant of Arthur, bordered by Domville Street to the north and Preston Street to the east.

Council permitted the township to sign a subdivision agreement with Cachet Developments at its July 11 meeting; clearing the largest hurdle in the process for the developer.

[related]

The subdivision will have 133 single detached homes, and 10 street townhouses with 64 total units, bringing the total dwellings to 197. Plans also show a park space less than an acre in size on the property’s east side, along Preston Street.

Construction is currently ongoing and includes installation of services, grading and erosion control, sanitary drainage, storm water drainage, street lighting and landscaping – all at an estimated cost of $10.57 million. All work must be finished within five years of the agreement being signed.

Once lots are registered, Cachet can begin applying for building permits.

In the future, a cost sharing agreement between Cachet and the township will be brought to council, regarding reconstruction of Preston Street North, estimated at around $1.3 million in total.

Jordan Snobelen profile image
by Jordan Snobelen

Get Local News Delivered

Join our community of readers and get weekly updates on what matters most in Wellington County.

Success! Now Check Your Email

To complete Subscribe, click the confirmation link in your inbox. If it doesn’t arrive within 3 minutes, check your spam folder.

Ok, Thanks

Read More